Property
Account |
| Property ID: | 5964 | Abbreviated Legal Description: | 1-7-38 SW1/4NW1/4 |
| Parcel Number: | 380701230004 | Agent Code: | |
| Type: | Real | | |
| Tax Area: | 309 - 101 | Land Use Code | 83 |
| Open Space: | Y | DFL | N |
| Historic Property: | N | Remodel Property: | N |
| Multi-Family Redevelopment: | N | | |
| Township: | 7 | Section: | 1 |
| Range: | 38 |
Location |
| Address: | WA 99329 | Mapsco: | |
| Neighborhood: | 0 Farm | Map ID: | |
| Neighborhood CD: | 5250 |
Owner |
| Name: | MASON RICHARD R | Owner ID: | 55124 |
| Mailing Address: | 2432 KENDALL RD WALLA WALLA, WA 99362 | % Ownership: | 100.0000000000% |
| | | Exemptions: | |
Taxes and Assessment Details
Property Tax Information as of
02/21/2026
Click on "Statement Details" to expand or collapse a tax statement.
* Please enter a valid date ** Please enter a valid date *
Statement Details |
| | TOTAL: | $0.00 | $0.00 | $0.00 | $0.00 | $0.00 | $0.00 |
|
| | $0.00 | $0.00 | $0.00 | $0.00 | $0.00 | $0.00 |
Values
| (+) Improvement Homesite Value: | + | $0 | |
| (+) Improvement Non-Homesite Value: | + | $0 | |
| (+) Land Homesite Value: | + | $0 | |
| (+) Land Non-Homesite Value: | + | $0 | |
| (+) Curr Use (HS): | + | $0 | $0 |
| (+) Curr Use (NHS): | + | $20,000 | $960 |
| | | -------------------------- | |
| (=) Market Value: | = | $20,000 | |
| (–) Productivity Loss: | – | $19,040 | |
| | | -------------------------- | |
| (=) Subtotal: | = | $960 | |
| (+) Senior Appraised Value: | + | $0 | |
| (+) Non-Senior Appraised Value: | + | $960 | |
| | | -------------------------- | |
| (=) Total Appraised Value: | = | $960 | |
| (–) Senior Exemption Loss: | – | $0 | |
| (–) Exemption Loss: | – | $0 | |
| | | -------------------------- | |
| (=) Taxable Value: | = | $960 | |
Taxing Jurisdiction
| Owner: | MASON RICHARD R | | |
| % Ownership: | 100.0000000000% | | |
| Total Value: | $20,000 | | |
| Tax Area: | 309 - 101 |
| CERFD | CURRENT EXPENSE REFUND 010 | 0.0000000000 | $960 | $960 | $0.00 | | |
| CURREXP | CURRENT EXPENSE 010 | 1.0175366760 | $960 | $960 | $0.98 | | |
| HUMNSERV | HUMAN SERVICES 119 | 0.0250000000 | $960 | $960 | $0.02 | | |
| SLDREL | SOLDIERS RELIEF 121 | 0.0155990005 | $960 | $960 | $0.01 | | |
| EMERGSER | EMS 147 | 0.3792580840 | $960 | $960 | $0.36 | | |
| EMSRFD | EMS REFUND 147 | 0.0000000000 | $960 | $960 | $0.00 | | |
| RLBRFD | RURAL LIBRARY REFUND 623 | 0.0000000000 | $960 | $960 | $0.00 | | |
| RURALLIB | RURAL LIBRARY 623 | 0.3710609029 | $960 | $960 | $0.36 | | |
| PORTRFD | PORT REFUND 640 | 0.0000000000 | $960 | $960 | $0.00 | | |
| PORTWWGEN | PORT OF WW 640 | 0.2460186015 | $960 | $960 | $0.24 | | |
| SD101CAP | SD #101 CAP 752 | 0.5894423472 | $960 | $960 | $0.57 | | |
| SD101GEN | SD #101 GENERAL 750 | 0.7455117868 | $960 | $960 | $0.72 | | |
| ST2 | STATE SCHOOL PART 2 600 | 0.8131451643 | $960 | $960 | $0.78 | | |
| STATESCHL | STATE SCHOOL 600 | 1.5158548041 | $960 | $960 | $1.46 | | |
| STREFUND | STATE REFUND LEVY 603 | 0.0000000000 | $960 | $960 | $0.00 | | |
| COROAD | COUNTY ROAD 115 | 1.6549953990 | $960 | $960 | $1.59 | | |
| CRPRD | COUNTY ROAD REFUND 115 | 0.0000000000 | $960 | $960 | $0.00 | | |
| | Total Tax Rate: | 7.3734227663 | | | | | |
| | | | | Taxes w/Current Exemptions: | $7.09 | | |
| | | | | Taxes w/o Exemptions: | $7.09 | | |
Improvement / Building
Sketch
| No sketches available for this property. |
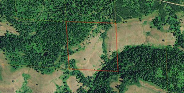
Property Image
Land
| 1 | 1-MTN | Mountain | 40.0000 | 0.00 | 0.00 | 0.00 | 1.00 | $20,000 | $960 |
Roll Value History
| 2026 | N/A | N/A | N/A | N/A | N/A |
| 2025 | $0 | $24,000 | $840 | $840 | $840 |
| 2024 | $0 | $24,000 | $880 | $880 | $880 |
| 2023 | $0 | $20,000 | $960 | $960 | $960 |
| 2022 | $0 | $20,000 | $880 | $880 | $880 |
| 2021 | $0 | $20,000 | $880 | $880 | $880 |
| 2020 | $0 | $20,000 | $920 | $920 | $920 |
| 2019 | $0 | $20,000 | $920 | $920 | $920 |
| 2018 | $0 | $20,000 | $920 | $920 | $920 |
| 2017 | $0 | $20,000 | $960 | $960 | $960 |
| 2016 | $0 | $20,000 | $920 | $920 | $920 |
| 2015 | $0 | $20,000 | $800 | $800 | $800 |
| 2014 | $0 | $20,000 | $840 | $840 | $840 |
| 2013 | $0 | $20,000 | $800 | $800 | $800 |
| 2012 | $0 | $500 | $0 | $0 | $0 |
| 2011 | $0 | $500 | $0 | $0 | $0 |
| 2010 | $0 | $400 | $0 | $0 | $0 |
| 2009 | $0 | $400 | $0 | $0 | $0 |
| 2008 | $0 | $400 | $0 | $0 | $0 |
| 2007 | $0 | $400 | $0 | $0 | $0 |
Deed and Sales History
| 1 | 06/16/2014 | SWP | Special Warranty Deed | MASON RICHARD R | MASON RICHARD R | 5-PARCELS | | $0.00 | 126082 | 2014-04154 |
| 2 | 08/26/2008 | WARRANTY D | WARRANTY DEED | "MASON, ROLAND R ESTATE OF" | | | | | 115549 | 2008-08835 |
| 3 | 01/01/1948 | WARRANTY D | WARRANTY DEED | | | | | $0.00 | 0 | 2400-316662 |
Payout Agreement
| No payout information available.. |